Тля наносит огромный ущерб яблоне. Она не только уничтожает молодые побеги, что приводит к ослаблению дерева и снижению урожая, но и распространяет различные заболевания, некоторые из которых приводят к гибели яблони.


Борьба с тлей на яблоне в мае-июне
Увеличение численности тли на яблонях происходит в сухую жаркую погоду. В дождливое прохладное лето развитие тли приостанавливается.
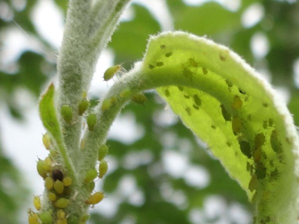
В мае-июне у яблони происходит рост новых побегов, в листьях накапливается максимальное количество питательных веществ. Этот процесс, вкупе с температурой воздуха выше 25 градусов и отсутствием ливневых дождей, способствует массовому размножению тли на яблоне. Молодые сочные листья яблони служат пищей для тли. Признаком поражения яблони тлей является скручивание листочков.
Несмотря на то, что в течение лета появляется несколько поколений тлей, именно в июне они наносят яблоне наибольший вред.
В июне на яблоне уже сформировались плоды, поэтому в этот период можно применять как химические, так и народные способы по уничтожению колоний тли.
Народные и химические средства по борьбе с тлей на яблоне
Симбиоз тлей и муравьев потребует от садоводов применения комплексных мер по борьбе с этими насекомыми.


Муравьи в саду – злостные вредители, наносящие огромный урон на участке, и в первую очередь разведением тли. Муравьи питаются сладким молочком, которое выделяет тля. Без этого молочка муравьи не погибают (как и люди без сладкого!), но эти умные насекомые устроены так, что не готовы отказываться от подобного удовольствия. Поэтому они разводят тлю, оберегают ее, переносят бескрылых тлей с одного места на другое, когда истощаются запасы питательных веществ в листьях. Уничтожение тли необходимо начать с уничтожения муравьёв.
Средства борьбы с муравьями
- Народных средств уничтожения муравьёв множество: в их ходы льют кипяток, уксус, засыпают горячую золу, табачный пепел, горчицу, выливают растительное масло, обрабатывают настоем чеснока и жгучего перца. Уничтожение надземной части муравейника или их отдельных ходов не эффективно, так как муравьи известные труженики, и при истреблении их популяция увеличивается, а разрушенные ходы быстро восстанавливаются. Чтобы избавиться от муравьев необходимо найти и уничтожить матку, которая может находиться на глубине от 0,5 до 1 метра.
- Хорошим средством против муравьев является раскладывание приманок. Приманки можно приобрести в садовых магазинах или изготовить самостоятельно с использованием борной кислоты. Эти приманки муравьи едят сами и уносят в муравейник, через 3-5 дней муравейник с личинками и маткой погибает.
- Чтобы отвадить муравьёв от сада, необходимо выкопать и унести муравейник подальше от участка.
- Еще одним способом является «разжигание» войны между садовыми муравьями и принесёнными из леса. Только при большой численности муравьёв в саду, пять-десять лесных могут их не победить.
Эти способы дают результат на несколько лет, после чего муравьи вернуться на участок.
Чтобы муравьи не разносили тлю на яблоню, рекомендовано размещать ловчие пояса на штамбе и стволовых ветках. Способов устройства ловчих поясов на деревьях множество, для их изготовления используют фольгу, липкую ленту для мух, газету, бархат или поролон. В продаже имеются уже готовые ловчие пояса. Принцип обустройства таких поясов один: обматывается ствол или ветка дерева, обвязывается верёвкой или скотчем, концы приподнимаются, чтобы муравьи не могли подняться и спуститься с дерева.
Обрабатывать или не обрабатывать такие пояса инсектицидами зависит от степени поражения яблони тлёй.
Не нужно дожидаться появления муравьёв и тли на деревьях, устраивать подобные пояса можно с целью профилактики, не забывая менять их время от времени.


Способы борьбы с тлей
- Механический способ. При небольших скоплениях тли ее можно удалять вручную. Собирать тлю лучше в широкую неглубокую кастрюлю с теплой водой.
- Народные способы. После механического удаления тли листья можно обработать раствором воды с добавлением нашатырного спирта, дегтярного мыла, настоем чеснока. В течение лета потребуется несколько подобных обработок. Главное – не допустить большого скопления тли на одной яблоне.
- Химические средства. При высокой численности тли на дереве, обработайте яблони такими химическими препаратами, как актара, карбофос, фитоверм. Обработку яблонь повторите через одну-две недели.
Смывание тли с помощью сильного напора струи шланга на яблонях лучше не применять, так как это малоэффективно, может стать причиной распространения грибковых заболеваний и навредить молодым побегам.
Необходимо чередовать химические и народные средства обработки против тли с механическими – сбором тли вручную, размещением ловчих поясов для муравьев на яблоне.
Профилактические меры
Обязательным профилактическим мероприятием по борьбе с тлёй на яблоне является обработка инсектицидами в октябре и в апреле, до распускания почек. Это поможет снизить численность тлей, которые осенью устроились под корой на зимовку, а весной ещё не успели проснуться.
Уменьшить популяцию тли помогут нелюбимые ей и муравьями растения: высадите рядом с яблонями бархатцы, базилик, горчицу, кинзу, петрушку, укроп, чеснок.
При формировании яблони старайтесь ограничивать её рост в высоту, так за ней будет легче ухаживать, в том числе и уничтожать вредителей.
Обработанный пестицидами и инсектицидами сад не сможет привлечь насекомых и птиц. Ни в коем случае нельзя проводить химическую обработку во время цветения яблонь, это отпугнёт пчёл. Привлечь на свой участок необходимо божьих коровок, златоглазок, синиц, коноплянок, воробьёв, которые помогут в борьбе с тлей.


Чтобы тля не поражала яблони, обязательно сдерживайте её численность на своем участке. Проводите профилактические мероприятия, избавляйтесь от муравьев, при поражении яблонь обрабатывайте деревья инсектицидными препаратами и народными средствами.